
VISIA(ビジア)について

VISIAは、高性能なカメラと画像解析技術で、しみ・しわ・毛穴・色むら・隠れジミ・ポルフィリン(ニキビのもととなるアクネ菌の代謝産物)などを項目別に細かく分析し、肌年齢なども解析できる肌診断器です。
VISIAは、大学病院などでも長く使用されており、豊富なデータを有し、全体で109,300人(うち日本人11,000人)に及ぶ豊富な測定結果をデータベース化しています。同世代の平均値と自分の解析結果を比較することで、客観的な肌の状態を数値化、可視化することができます。
VISIAの最大の特長は、肌の状態を数値化し、客観的なデータとして提示できる点にあります。肌年齢などが数値で表示されるため、自分の肌の状態を正確に把握することができます。また、過去の撮影データと比較することで、スキンケアや治療の効果を明確に確認できる点も大きなメリットです。
当院では、毎回美容施術を行う方には無料でVISIA撮影を行っています。撮影した画像をもとに、現在の肌の状態、前回までの治療効果、新たな肌トラブルがないかどうかなど、医師が必ず画像を確認したうえで、治療方針をご説明します。
VISIAは、あくまでも肌の状態を分析する機器であり、治療を行うものではありません。
撮影した画像を最大限に生かし、より適切な肌質改善治療をご提案させていただきます。
VISIAはこんな方に最適
- 肌質を知りたい
- スキンケアの参考にしたい
- 隠れシミを見つけたい
- 自分の肌を客観的に見てみたい
- 同年代の平均肌データとの比較したい
VISIAの特長
正確な解析結果
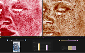
VISIAは「カラー写真」と「UV写真」の2つの撮影と解析が可能です。
カラー写真では、シミ、シワ、毛穴、肌の色ムラを解析し、UV写真では隠れジミ、ニキビ菌の代謝物の解析を行います。
同世代とお肌の比較が可能
VISIAは、肌診断の解析データを蓄積しています。蓄積されている同年代の平均値と自分のデータを比較することができます。
しみの解析

皮膚表面の目に見えるシミだけでなく、目では見えにくい、薄いシミや肝斑、そばかすの確認ができます。
毛穴の解析

毛穴の形状が周辺部位より、凹んでいる陰影を利用して解析をします。毛穴の数や形を読み取ることができます。
隠れジミの解析

まだ皮膚表面に出ていない隠れジミを撮影することが可能です。そのため、隠れジミに対する治療やケアを施すことが可能です。
ニキビ(ポルフィリン)の解析

皮膚表面にあるポルフィリン(ニキビの元になるアクネ菌の代謝物)を撮影し、ニキビの解析をします。ニキビの原因を把握して、患者様に合ったニキビ治療をご提案することができます。
しわの解析

皮膚表面のシワの数を読み取ることができます。
キメの解析

一定範囲内の中心の皮膚の色とその他の皮膚の色を比較して、皮膚表面の滑らかさを解析することにより、皮膚の色の均一性を解析しています。
皮膚の色の解析

皮膚の色を構成している主な要素であるメラニンとヘモグロビンを分離して画像化します。赤ら顔やニキビ、色素沈着治療に役立てることができます。
肌年齢の解析

3次元的ポジションマッチングの機能で、撮影ポジションのずれによる解析の誤差が起きにくいため、解析結果が正確になりました。
位置、角度を記録、前後写真の3次元的ポジションマッチングで常に同一照明で撮影し、肌年齢を解析します。
VISIAの流れ
1.カウンセリング
患者様のお悩みやご希望を丁寧にお伺いします。施術に関するご質問や不安な点など、お気軽にご相談ください。
2.準備
VISIAで撮影する前に、洗顔してメイク、皮脂や汚れを落としていただきます。清潔な状態で正確なデータ解析をさせていただきます。
3.撮影
撮影にかかる時間は約5~10分ほどです。
4.肌診断
肌診断結果についてご説明させていただき、最適な治療プランをご提案いたします。
料金
VISIAの料金は、以下の通りです。
| 機器名 | 回数 | 料金 |
|---|---|---|
| VISIA (肌の画像診断料) | 1回 | 3,300円 (美容施術を受けられる方は無料) |



